இந்திய பெருங்கடலில் அதிபயங்கர வெப்பமண்டல சூறாவளி உருவாகியுள்ளது என்றும் இது நேரடியாக மொரீஷியஸை தாக்கும் என்றும் சர்வதேச விண்வெளி மையம் தகவல் தெரிவித்துள்ளது.

Continues below advertisement

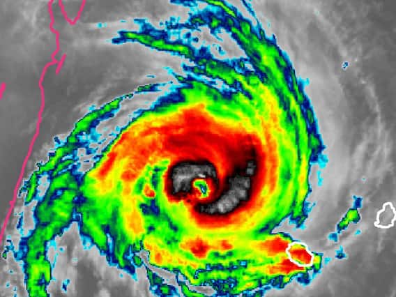
சர்வதேச விண்வெளி நிலையம் வெப்பமண்டல சூறாவளி ஃப்ரெடியின் கண்ணை மேலே இருந்து பதிவு செய்துள்ளது, மேலும் அது மடகாஸ்கரை நோக்கி நகரும் காட்சிகள் மிகவும் ஆக்ரோஷமாக இருப்பதாக கூறியுள்ளது. இந்தியப் பெருங்கடல் தீவுக்கு "நேரடி அச்சுறுத்தலை" ஏற்படுத்தி, வெப்பமண்டல சூறாவளி ஃப்ரெடி நெருங்கி வருவதால் மொரீஷியஸ், விமானங்களை தரையிறக்கியது மேலும் அதன் பங்குச் சந்தையை மூடியுள்ளது. மடகாஸ்கரின் நான்கு பகுதிகளில் கனமழை, வெள்ளம் மற்றும் நிலச்சரிவுகள் ஏற்படும் என முன்னறிவிப்பாளர்கள் கணித்துள்ள நிலையில், இந்தியப் பெருங்கடலில் உள்ள தீவுகளை சூறாவளி நெருங்கி வருகிறது. நேற்று மொரிஷியஸில் வகுப்பு III சூறாவளி எச்சரிக்கை நடைமுறையில் இருந்தது, மணிக்கு 120km (75 மைல்) வேகத்தில் காற்று வீசுயது.

Continues below advertisement

 மடகாஸ்கர் தீவில் உள்ள அதிகாரிகள் - மொரிஷியஸுக்கு மேற்கே 1,130 கிமீ தொலைவில் ஆப்பிரிக்காவின் கடற்கரையை நோக்கி - இன்று மாலைக்குள் கிழக்கில் மஹானோரோவிற்கும் தென்கிழக்கில் மனகராவிற்கும் இடையே நேரடி தாக்கத்தை ஏற்படுத்தும் என தெரிவித்துள்ளனர். இந்த  சூறாவளியை "தீவிர வெப்பமண்டல சூறாவளி" என்றும் "குறிப்பாக சக்திவாய்ந்த மற்றும் சிறிய வெப்பமண்டல அமைப்பு, அதன் மையத்திற்கு அருகில் தீவிர காற்றை உருவாக்குகிறது" என்றும் விவரிக்கப்பட்டுள்ளது. ரீயூனியனில் உள்ள ஐக்கிய நாடுகளின் பிராந்திய வானிலை கண்காணிப்பு மையம், இந்தோனேசியாவிற்கு அருகே இரண்டு வாரங்களுக்கு முன்பு உருவான ஃப்ரெடி, அடுத்த வார தொடக்கத்தில் ஒரு பயங்கரமான 5 சூறாவளிக்கு சமமான வலிமையுடன் கரையைக் கடக்கும் என்று எதிர்பார்க்கப்படுகிறது என குறிப்பிட்டுள்ளது.  

இந்த சூறாவளியை எதிர்கொள்ள பல்வேறு முன்னெச்சரிக்கை நடவடிக்கைகள் எடுக்கப்பட்டுள்ளது.  மொரீஷியஸில் எந்த அரசாங்க சேவைகளும் இயங்கவில்லை, அதே நேரத்தில் கடைகள், வங்கிகள், பெட்ரோல் நிலையங்கள் மற்றும் பொது போக்குவரத்து அனைத்தும் முடக்கப்பட்டுள்ளது. தேவையான அனைத்து முன்னெச்சரிக்கை நடவடிக்கைகளையும் எடுத்துக்கொள்ள வேண்டும் என மக்களுக்கு மொரிஷியஸ் பிரதமர் பிரவிந்த் ஜக்நாத் வலியுறுத்தியுள்ளார். ஃப்ரெடி சூறாவளி மிகவும் வலுவான சூறாவளியாகும், இது மொரீஷியஸ், ரோட்ரிக்ஸ் மற்றும் செயிண்ட்-பிரண்டன் தீவுகளுக்கு நேரடி அச்சுறுத்தலாக உள்ளது, என்றார்.